Icono del sitio Trabajadores

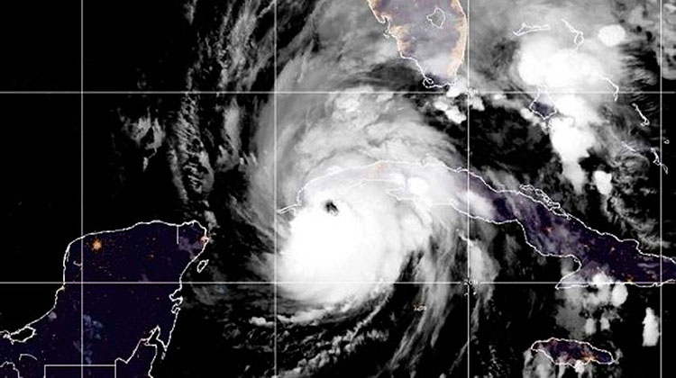
Confirman moderada presencia de huracán en el mar Caribe

Meteorólogos cubanos confirmaron que son moderadas las probabilidades de que se origine e intensifique al menos un huracán en el Caribe y de que uno de procedencia atlántica penetre en su interior.

 

 

En el primer caso la eventualidad es un 35 por ciento y en el segundo de un 50 por ciento, explicaron en la nueva evaluación de su pronóstico de hace dos meses sobre la temporada ciclónica en el área geográfica del Atlántico norte, el Golfo de México y el mar Caribe, que se extiende del primero de junio hasta el próximo 30 de noviembre.

También es moderado en un 35 por ciento de posibilidades el peligro de que Cuba sea impactada por al menos un ciclón tropical con categoría de huracán, reiteraron los expertos del Centro de Pronósticos, del Instituto de Meteorología.

Ratificaron su concepción de una temporada ciclónica cercana a lo normal, cuando en los meses de junio y julio se desarrollaron el huracán Don y tres tormentas tropicales Arlene, Bret y Cindy.

Sin embargo, para resto del período prevén la formación de otros nueve ciclones tropicales, 1 en toda la cuenca del Atlántico Norte y 2 en el mar Caribe, de los cuales cinco podrían alcanzar la categoría de huracán, añadieron.

Señalaron que durante la primera mitad del año la temperatura superficial del mar en la franja tropical del Atlántico Norte y el mar Caribe resultó notablemente más elevada que lo normal, lo que constituye un factor muy favorable para la formación y desarrollo de los ciclones tropicales.

Igualmente, continúa el rápido sobrecalentamiento del mar en el Pacífico ecuatorial central y oriental.

Precisaron que los indicadores oceánicos y atmosféricos transitaron de un evento La Niña-Oscilación del Sur (AENOS) a un evento El Niño-Oscilación del Sur (ENOS) débil en el Pacífico ecuatorial oriental en el curso de los primeros seis meses del año.

Los patrones atmosféricos, prosiguieron, se ajustan gradualmente a las condiciones impuestas por el evento ENOS, su persistencia, se espera que alcance la condición de intensidad fuerte y su presencia se mantendrá, entre los 10 y 12 kilómetros de altura.

El Centro de Pronósticos es uno de los pocos de la región que los hace desde 1996 con una metodología propia, en los cuales insisten en que lo más importante es estar preparado para el enfrentamiento a fenómenos hidrometeorológicos.

El servicio meteorológico nacional tiene listo su capital humano y las herramientas tecnológicas requeridas que le permiten seguir paso a paso la trayectoria y evolución de cualquier ciclón tropical, que pueda representar una amenaza al país.

Siempre en coordinación con el Sistema de Defensa Civil, a fin de reducir el riesgo de desastres ante ciclones tropicales y otros peligros de origen natural, tecnológico y sanitario, preservar la vida humana y proteger los recursos de la economía.

La Organización Meteorológica Mundial anunció que en la lista de nombres de tormentas para la actual temporada figuran Arlene, Bret, Cindy, Don, Emily, Franklin, Gert, Harold, Idalia, Jose, Katia, Lee, Margot, Nigel, Ophelia, Philippe, Rina, Sean, Tammy, Vince y Whitney. (Tomado de ACN)

Compartir...
Salir de la versión móvil