Atentos y preparados en el occidente y el centro del país ante impacto del ciclón tropical
Ante la inminencia del paso del huracán Ian, que debe transitar por los mares y tierras del occidente del país en la madrugada y mañana de este martes con categoría 2 o 3, la dirección del país sostuvo en la tarde de este lunes un segundo intercambio en el día con las autoridades políticas y gubernamentales de los territorios del occidente y el centro del país para puntualizar el cumplimiento de los planes para enfrentar el evento hidrometeorológico.
La reunión con los consejos provinciales de defensa y el consejo municipal de la Isla de la Juventud estuvo encabezada por el Primer Secretario del Comité Central del Partido y Presidente de la República, Miguel Díaz-Canel Bermúdez; el Vicepresidente de la República, Salvador Valdés Mesa, y el viceprimer ministro Alejandro Gil Fernández.
A propuesta del Estado Mayor Nacional de la Defensa Civil (EMNDC), se aprobó pasar a la Fase de Alarma Ciclónica a las provincias de Pinar del Río y Artemisa y al municipio especial Isla de la Juventud. (Leer más)
Un total de 82 968 personas han sido evacuadas en Artemisa
Como parte de las acciones que se realizan en la provincia de Artemisa, la Defensa Civil puntualizó desde las primeras horas del día la población a evacuar ante posibles afectaciones y peligros que para la vida humana tenga el impacto del huracán Ian a la provincia.
➡️ Principalmente se priorizan los municipios de Alquízar con playa Guanimar y Güira de Melena con playa Cajío. Efectúan evacuación en los territorios de Candelaria y San Cristóbal.
➡️ Según informa el sector, se evacúan un total de 82 968 personas, de ellas a proteger en albergues 8 519.
➡️En cuanto a los evacuados en albergues
- Por fuertes vientos 4 986
- Por intensas lluvias 2 246
- Por penetraciones del mar 1287
➡️ En la provincia se habilitaron un total de 37 albergues para protección de los pobladores que por las condiciones en los hogares tienen que trasladarse a otros lugares.
➡️ Del 100 por ciento de la población solo el 19 se protegerá en los albergues y el 81 en casas de familiares o amigos.
➡️Estos lugares cuentan con los aseguramientos para recibir a los evacuados y tienen las condiciones indispensables para el tiempo que se requiera mantener a las personas allí.
🖊️ Arianna Martínez/ Radio Artemisa
Huracán Ian debe penetrar en Pinar del Río durante la madrugada
Si mantiene su velocidad de traslación en el orden de los 20 kilómetros por hora y el rumbo vaticinado entre el norte noroeste y el norte, el huracán Ian de Categoría 2 en la escala Saffir-Simpson, penetraría en suelo cubano por un punto de la costa sur de la provincia de Pinar del Río durante la próxima madrugada, entre Playa de Galafre y La Coloma.
De cumplirse lo enunciado y dada la amplia circulación del sistema, cuya cobertura nubosa tiene un diámetro estimado en el orden de los 600 kilómetros, toda la región occidental estaría bajo los efectos de este organismo ciclónico tropical, con la ocurrencia de lluvias fuertes e intensas (pueden extenderse incluso a la zona central), vientos huracanados sobre casi todo el territorio pinareño y con fuerza de tormenta tropical desde Artemisa hasta los límites de La Habana y Mayabeque, y el inicio de inundaciones costeras de moderadas a fuertes, en la costa sur occidental.
La doctora Miriam Teresita Llanes, jefa del Centro de Pronósticos del Instituto de Meteorología, precisó que a las seis de la tarde el centro de Ian se ubicaba a unos 115 kilómetros al sur suroeste de Carapachibey, Isla de la Juventud y a unos 190 kilómetros al sur de la Coloma, Pinar del Río.
En su desplazamiento por las aguas abiertas del noroeste del mar Caribe, el cuarto huracán de la temporada ciclónica prosiguió intensificándose y sus vientos máximos sostenidos ya eran de 155 kilómetros por hora, superiores en rachas, en tanto la presión central disminuyó a 972 hectopascal, otro indicador de su rápido fortalecimiento.
Según las proyecciones de los modelos y el consenso de los especialistas del Centro de Pronósticos, en su tránsito por los mares entre la Isla de la Juventud y el litoral sur de Pinar del Río, Ian tiene posibilidad de convertirse en huracán intenso al menos de Categoría 3 (vientos máximos sostenidos de 178 a 208 kilómetros por hora), antes de penetrar en territorio pinareño.
Preparados y Alertas
A cumplir con las medidas orientadas ante cada fase, a permanecer atentos ante los cambios que puedan ocurrir, y prepararse para la llegada de Ian que tiene todas las condiciones para fortalecerse, llamó este lunes el General de División ® Ramón Pardo Guerra, jefe del Estado Mayor Nacional de la Defensa Civil, (EMNDC), durante un encuentro con los representantes de los órganos de trabajo y aseguramiento del Consejo de Defensa Nacional y el Centro de Dirección del EMNDC.
Pardo Guerra insistió en la necesidad de mantenerse informados por las vías oficiales, estar al tanto de los avisos del Centro de Pronósticos del Instituto de Meteorología y cumplir cada detalle establecido en los planes de reducción de desastres, ante la amenaza del huracán Ian.
En el encuentro de trabajo, los representantes del ministerio de la agricultura, comercio interior, comunicación, entre otros, rindieron cuentas de su gestión en la protección de recursos materiales, la distribución de alimentos y la situación actual de los embalses, entre otras cuestiones. (Tomado de Granma)
Suspendidas este martes las actividades laborales en La Habana
Teniendo en cuenta la posible trayectoria del huracán Ian y las afectaciones que este puede provocar en la capital, el Consejo de Defensa Provincial de La Habana determinó, en reunión ampliada efectuada este lunes, suspender las actividades laborales en la ciudad durante la jornada del martes.
Iris Torres Sotolongo, directora de Trabajo de La Habana, declaró que recesarán este martes todas las actividades laborales, excepto las relacionadas con la elaboración de alimentos y otras que garantizan la vitalidad de la ciudad como Salud Pública, Hogares de abuelos y de niños sin amparo filial, Aguas de La Habana, entre otras.
Precisó que en los centros en los que se suspenden las actividades laborales, las administraciones de conjunto con los trabajadores deben adoptar todas las medidas para proteger los medios, recursos e inmuebles durante el paso del ciclón. (Tomado de Granma)
Pasan a fase de Alarma ciclónica las provincias de Pinar del Río, Artemisa y el Municipio Especial Isla de la Juventud
El Estado Mayor Nacional de la Defensa Civil establece la Fase de Alarma Ciclónica para las provincias Pinar del Río, Artemisa y el Municipio Especial Isla de la Juventud.
#HuracánIan. El Estado Mayor Nacional de la Defensa Civil establece la Fase de Alarma Ciclónica para las provincias Pinar del Río, Artemisa y el Municipio Especial Isla de la Juventud. pic.twitter.com/XtA2mUQj4x
— Defensa Civil Cuba (@CubaCivil) September 26, 2022
Bajan techos de casas de cultivos en occidente
Aseguran las máquinas de riego y cosechan frutos maduros ante inminencia del paso de Ian
Cumpliendo las orientaciones del presidente del Grupo Empresarial Agrícola (Gag) y en concordancia con las emitidas por los presidentes de los Consejos de Defensa provinciales, en las tres provincias más occidentales del país se bajaron los techos y laterales de todas las casas de cultivos tapados y se aseguraron las máquinas de pivote central, para evitar mayores daños por el impacto de los vientos asociados al huracán Ian.
El ingeniero Juan Carlos Anzardo, jefe de Hortalizas del Gag puntualizó el área y los módulos de casas que existen en cada territorio y especificó que por ser esta una medida preventiva, en el resto de las provincias del occidente y centro se cumplen las indicaciones para la espera de una mayor cercanía del huracán y adoptar la decisión de bajar los techos.
Ello se debe a que siempre en este proceso los techos, laterales, tornillos y demás recursos sufren ciertas afectaciones, que en lo posible pudieran evitarse de no ser necesaria la de desmontar esas estructuras.
En las sedes de los locales del grupo y sus entidades, el presidente del Gag orientó la limpieza de los tragantes interiores, recogida de desechos sólidos y de objetos que puedan convertirse en proyectiles, así como asegurar la marquetería de puertas y ventanas que dan al exterior.
También se protegen los equipos de transporte y otros equipos y medios técnicos, y donde ha sido posible se rellenaron los depósitos de agua potable, y la evacuación de los medios de cómputo y equipos según se requiera para lugares más seguros.
Los almacenes tienen que estar protegidos; además deben cumplir las medidas de control de acceso del personal a las áreas, y desconectar los equipos de la corriente eléctrica que no están trabajando.
Se trabaja en la preservación de los productos terminados en lugares altos y protegido con mantas polipropileno, al igual que la documentación y los medios materiales almacenados, así como la evacuación y protección del ganado vacuno, equino en lugares seguros.
Igualmente informó de la protección a 260 toneladas de tabaco que permanecen en escogidas de la Empresa Cubaquivir, de Pinar del Río; cosecha de cultivos varios en las entidades del occidente, y del arroz maduro que está en el campo.
En las agropecuarias industriales de granos se apura la cosecha del arroz maduro, aunque en algunas ha sido insuficiente por la rotura de máquinas cosechadoras.
En estos momentos hay poco más de mil toneladas de arroz maduro entre las empresas Los Palacios, José Martí, Matanzas, Emilio Córdova, Aguada de Pasajeros, Sur del Jíbaro y Máximo Gómez donde se ha establecido la prioridad para la cosecha, tratando de salvar todo el cereal posible. (Ana Margarita González)
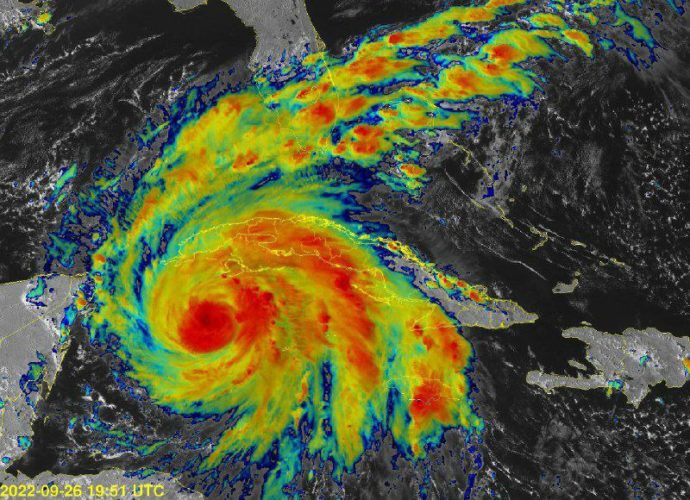
Aviso 16 (6 PM): Ian se convierte en huracán categoría 2
Convoca Ulises Guilarte a adoptar medidas ante el paso de Ian
@UlisesGuilarte convocó a los colectivos laborales del occidente de #Cuba 🇨🇺 a adoptar las medidas previstas para proteger la vida de sus trabajadores y los recursos del Estado, ante el inminente paso del huracán Ian.#CubaViveYTrabaja pic.twitter.com/zzoaw7Tlxu
— Central de Trabajadores de Cuba (@CubaCentral) September 26, 2022
Se alista La Habana para enfrentar al huracán Ian
El Consejo de Defensa Provincial chequeó en la tarde de este lunes las medidas que se ejecutan en La Habana para enfrentar las afectaciones del huracán Ian, que se hará sentir con lluvias intensas en la tarde noche y con vientos de tormenta tropical en la madrugada
La Habana se mantiene en la fase de Alerta ciclónica.
El Consejo de Defensa Provincial (CDP) chequeó en la tarde de este lunes las medidas que se ejecutan en La Habana para enfrentar las afectaciones del huracán Ian, que se hará sentir con lluvias intensas en la tarde noche y con vientos de tormenta tropical en la madrugada.
Así lo expusieron al CDP, los especialistas del Instituto Meteorología que reafirmaron la categoría uno del fenómeno atmosférico y precisaron que ha ganado en intensidad y organización en las últimas horas.
El jefe de la Defensa Civil provincial, Teniente Coronel Luis Hernández Guilarte, informó que se mantiene la fase de Alerta y reiteró las medidas orientadas.
La vicegobernadora, Yanet Hernández, dio a conocer que están activados 62 centros elaboradores de alimentos, que aseguraran el suministro a los locales de evacuación.
Hasta el momento se prevé el traslado de 61 155 personas hacia esos inmuebles estatales, o hacia las casas de familiares y amigos (autoevacuados).
El vicepresidente del CDP, Reinaldo García Zapata, indicó a las autoridades de los municipios tener bien identificados los inmuebles con mayor peligro de derrumbe, para evitar accidentes y proteger a los inquilinos en lugares seguros.
El presidente del órgano de defensa provincial, Luis Antonio Torres Iríbar, orientó mantener una vigilancia permanente de los ríos y arroyuelos, fundamentalmente del Almendares (Plaza) , el Qibú ( Playa) y el Orengo (Arroyo Naranjo), ante el peligro de una crecida.
El coordinador de Programas del Gobierno de La Habana, Orestes Llanes Mestre, aseguró que se han recogido más de 36 000 m cúbicos de desechos sólidos, y se desobstruyen alcantarillas y tragantes.
Se trasladaron los contenedores de basura de las zonas bajas de los municipios costeros hacia las áreas superiores de esos territorios.
Educación
La directora provincial, Yoana Falcón Suárez, anunció la suspensión de las clases el martes, y aseguró que desde horas del mediodía de este lunes los padres están recogiendo a los alumnos.
Se ejecutaron todas las acciones para garantizar la seguridad de los internos en los 12 hogares de niños sin amparo filial, la escuela de la enseñanza especial Solidaridad con Panamá y las villas de alojamiento para los profesores de otras provincias que prestan servicio en la capital.
Alimentación
El coordinador de Programas del Gobierno de La Habana, Julio Martínez Roque, afirmó que se almacenan durante la jornada casi 400 toneladas de productos agrícolas.
Construcción y Recursos Hidráulicos
Están disponibles en los 15 municipios las brigadas con los respectivos equipos técnicos para la fase recuperativa, en la cual se dispondrá de 72 metros cúbicos de madera para apuntalamientos, así como cemento, y otros materiales constructivos.
La Empresa Aguas de La Habana trabaja intensamente en la eliminación de los vertimientos, y otras incidencias que puedan ocurrir en las inundaciones. No hay peligro de desborde de las presas.
En la reunión fueron precisados los aseguramientos para la vitalidad de los sectores sanitario, eléctrico, y de las telecomunicaciones.
La representante de ETECSA, anunció que está disponible el número 80073565 para escuchar las informaciones de Radio Reloj sobre el paso del huracán.
También están dispuestas las fuerzas para garantizar el Orden Interior.
En las conclusiones Torres Iríbar insistió en que lo más importante es salvar vidas, por lo que debe mantenerse bien informado al pueblo.
Asistieron a la sesión ampliada del CDP, los quince presidentes de los consejos de defensa municipales y los intendentes.
Estuvieron presentes, además, la miembro del Secretariado del Comité Central del Partido y jefa del Departamento de Atención a los Servicios del Comité Central del Partido (CCPCC), Judi Mercedes Rodríguez Hernández, y el jefe del Departamento de Política de Cuadros del CCPCC, Humberto Camilo Hernández Suárez. (Tomado de Tribuna de La Habana)
[spoiler title=»Habilita Empresa Eléctrica de La Habana nuevos números telefónicos» open=»no» style=»default» icon=»plus» anchor=»» class=»»]
Estimados clientes adicionalmente al 18888 hemos habilitado 10 números telefónicos en el puesto de mando provincial de la empresa.
76463282 al 89
76468462
76468963
También están habilitados los teléfonos de los puestos de mando de las unidades municipales:
Boyeros: 76450641, 76455719.
Marianao: 72671102.
Lisa: 72608406, 72628921.
Playa: 72082848, 72087064.
Centro Habana-Habana Vieja:78796137, 78784928.
Plaza-Cerro: 78815364, 78830030.
Habana del Este: 77639285.
Guanabacoa-Regla: 77936981, 77936982, 77945446.
San Miguel del Padrón: 76938505, 76938506, 76938512, 76938436.
Arroyo Naranjo: 76432712, 76432713.
10 de Octubre: 76968439, 76994203.
Cotorro: 76821611, 76829785.
Soterrada: 78629339.
Por estos últimos números usted podrá comunicarse directamente con la Empresa Eléctrica de su municipio.
(Tomado del perfil de Facebook de la Empresa Eléctrica de La Habana)
[/spoiler]
Comprueban medidas adoptadas en Pinar del Río
Félix Duarte Ortega, integrante del Secretariado del Comité Central y Jorge Luis Tapia Fonseca, vice primer ministro de la República de Cuba, comprueban las medidas adoptadas en Pinar del Río, ante el inminente paso del huracán Ian.
A partir de la cercanía del huracán Ian al occidente de Cuba, y su impacto directo sobre la provincia Pinar del Río se evalúo la distribución y protección de los alimentos en el territorio.
Félix Duarte Ortega, integrante del Secretariado del Comité Central, recalcó que lo más importante es salvaguardar las vidas humanas y que también es esencial, ante la compleja situación económica del país, proteger los recursos.
Se garantizó la producción del pan de mañana martes y se distribuyó galletas en asentamientos que actualmente tienen las panaderías rotas. Hay cobertura de harina para 2,5 días.
Disponen de una tonelada de leche en polvo para suplir cualquier carencia de esta en los municipios que hacen entrega de la misma fluida, en cuanto a la canasta familiar normada, se encuentra en las bodegas el 28.9 %, de la correspondiente al mes de octubre; las mil 81 toneladas responden principalmente a granos, arroz y azúcar. Las existencias de mercancías en 36 bodegas, cuyo estado estructural no ofrece seguridad, se trasladaron para su preservación.
Crear las condiciones para dar inicio con inmediatez a las labores de recuperación fue uno de los aspectos en que insistió Duartes Ortega, sugirió que todos los medios dispongan del combustible que requieran para su funcionamiento.
Ya fueron evacuadas 19 mil 283 personas, de ellas sólo 1241 están en albergues, aunque se activaron 55 centros de evacuación, sobre estos, Jorge Luis Tapia Fonseca, vice primer ministro de la República de Cuba, indicó visitarlos y asegurar su vitalidad.
Asimismo, se refirió a la necesidad de comprobar la disponibilidad de alimentos en las comunidades que pueden incomunicarse, y buscar alternativas para el acopio de leche mañana martes, prever el escenario de mayor complejidad para no quedarse sin alternativas.
Duarte Ortega, enfatizó la responsabilidad de cada municipio en la evacuación oportuna de quienes residen en zonas costeras, cerca de 14 mil habitantes tienen estos 20 asentamientos.
Trasladaron a hogares maternos las embarazadas a término y se liberaron 226 camas en instituciones hospitalarias, mientras que las seis brigadas médico quirúrgicas ya están en comunidades con riesgo de incomunicarse o difícil acceso.
Con el propósito de garantizar el flujo de información están activados 16 radioaficionados, 11 Centros de Gestión de Riesgo y 59 Puntos de Alerta Temprana.
Francisco Ismael Valdés Chirino, delegado de Recursos Hidráulicos en la provincia informó que los embalses se encuentran al 94 por ciento y 12 están vertiendo, abrieron las compuertas de todos los canales para que bajen los niveles.
Esencial el abasto de agua potable a la población, especialmente en el municipio cabecera que tiene los ciclos más extensos del país, al respecto Yamilé Ramos Cordero, presidenta del CDP orientó priorizar las zonas que llevan días sin servicio por la rotura de un equipo de bombeo en la conductora de 20 pulgadas. (Yolanda Molina Pérez)
Aviso de Ciclón Tropical No. 15: Ian continúa fortaleciéndose
Llueve fuerte en Cienfuegos
Desde el mediodía de hoy se ha intensificado la lluvia en el territorio cienfueguero y los acumulados comienzan a resultar significativos y precisan a adoptar con prontitud todas las medidas orientadas por el Consejo de Defensa Provincial a tono con la fase de Alerta Ciclónica, decretada por el Estado Mayor de la Defensa Civil en relación con las afectaciones que puede provocar el huracán Ian a su paso por Cuba.
Desde la mañana ha llovido a intervalos, pero en la tarde ha sido permanente y en ciertas zonas, intensas. Específicamente en la ciudad cabecera es notable en el momento de redactar estas líneas. Aunque no se ha emitido aún algún parte con los registros, al menos al que hemos podido acceso, la cantidad de milímetros comienza a ser considerable, por lo que hay que extremar las precauciones en las zonas bajas y proclives a las inundaciones.
Se ha laborado en la limpieza de alcantarillas y desagües para facilitar el escurrimiento del agua y todo está previsto para ejecutar la evacuación de quienes residen en áreas con peligro, de acuerdo con el plan de disminución de riesgos en la fase de Alerta Ciclónica.
Otras acciones se han ejecutado, sobre la base de lo previsto, y la experiencia de las estructuras creadas para afrontar eventos meteorológicos como el que afecta el archipiélago en este momento.
Marydé Fernández López, presidenta del Consejo de Defensa Provincial y Alexandre Corona Quintero, vicepresidente, y otras autoridades de la provincia hicieron un recorrido por los embalses y analizan con directivos de Recursos Hidráulicos la situación existente.
Amado Hernández Hernández, director de la Empresa de Aprovechamiento Hidráulico en Cienfuegos, informó que vierten las presas Galindo, en el municipio de Abreus, y El Salto, en el de Lajas. La provincia promedia un 92 por ciento de aprovechamiento de los embalses, por lo que hay que liberar agua para asumir los escurrimientos que deben ir aumentando de manera paulatina.
Agregó que todos los grupos electrónicos de las presas están activos y con la reserva de combustible para mantener las operaciones, independientemente de las condiciones climatológicas que se presenten y las eventualidades que puedan surgir.
Puede afirmarse que Cienfuegos intensifica la preparación y mantiene la alerta ciclónica en todos los sectores, sobre todo en aquellos con más vulnerabilidades. (Ramón Barreras Ferrán)
Huracán Ian se acerca, Artemisa se prepara
Artemisa se alista para minimizar el inminente impacto del huracán Ian en el occidente de Cuba, con la adopción de medidas que permiten proteger la vida de la población y los recursos de la economía, así como garantizar los servicios de salud, abasto de agua y alimentación.
Este lunes el Consejo de Defensa Provincial (CDP) chequeó el cumplimiento de las orientaciones dadas en el encuentro del sábado, cuando el territorio se encontraba en Fase Informativa (hoy está en Fase de Alerta Ciclónica) referentes a la protección de grupos electrógenos en centros de salud y fuentes de abasto de agua.
Sobre este último tema, Inés María Chapman, vice primera ministra de la República de Cuba, enfatizó que la población no debe carecer de agua por más de 72 horas, por lo cual, se debe garantizar el líquido por todas las vías posibles antes y después del impacto del meteoro.
Gladys Martínez Verdecia, integrante del Buró Político del Comité Central del Partido Comunista de Cuba (PCC) y presidenta del CDP, insistió en actuar con rapidez y mientras las condiciones meteorológicas lo permitan, pues Artemisa será afectada por vientos y lluvias fuertes, así como por inundaciones en las costas norte y sur.
Refirió que todos los municipios serán afectados y que cada institución es responsable con la protección de sus bienes y recursos, pero la mayor prioridad es proteger la vida de la población, de ahí su llamado a mantener la información al pueblo y al cumplimiento de las medidas orientadas por la Defensa Civil.
Se informó en el intercambio que Artemisa prevé proteger a 82 mil 968 habitantes, de los cuales ocho mil 519 serán reubicados en centros de evacuación, una tarea que se inició este mediodía en las playas Cajío, en Güira de Melena, Guanímar, en Alquízar, y Majana, en la capital provincial, las zonas más vulnerables a inundaciones.
Miguel Sánchez García, director general del Grupo Empresarial Agropecuario y Forestal, explicó que continúa la cosecha de los alimentos listos para el consumo del territorio y La Habana, así como el traslado del ganado a lugares seguros.
Durante el intercambio, efectuado por videoconferencia con los consejos de Defensa municipales, se explicó la situación de cada municipio y las medidas para enfrentar el impacto del huracán Ian, categoría uno en la escala de Saffir-Simpson, de un máximo de cinco. (ACN)
[spoiler title=»Perceptible en Isla de la Juventud vientos asociados a Ian» open=»no» style=»default» icon=»plus» anchor=»» class=»»]
Las rachas de vientos asociadas a Ian -cuarto huracán de la actual temporada ciclónica en el Atlántico- ya son perceptibles en Isla de la Juventud, organismo tropical que se aproxima al territorio sobre aguas muy cálidas, condición favorable para su fortalecimiento.
El meteorólogo Edgardo Soler, del Centro de pronósticos de la delegación territorial del Ministerio de Ciencia, Tecnología y Medioambiente, afirmó que desde el final de esta mañana se incrementarían los nublados con chubascos y lluvias que pueden ser fuertes e intensas en algunas localidades del municipio especial.
A partir del final de la tarde se iniciarán marejadas en toda la costa sur del archipiélago de Los Canarreos, y se sentirán vientos de tormenta tropical que en la noche madrugada pueden ser huracanados, los cuales provocarían trenes de ola de cinco a siete metros de altura en su traslación a 22 kilómetros por hora rumbo próximo al noroeste, comentó.
Subrayó que, en las últimas 24 horas, los pluviómetros registraron la mayor lámina de precipitaciones (92,0 milímetros) en el poblado rural La Melvis.
Debido a la situación hidrometeorológica se vigilan las 14 presas, actualmente al 81 por ciento de su capacidad total de llenado, de las cuales cinco están aliviando sus aguas y dos alcanzaron el ciento por ciento de almacenamiento.
Se prevé que el organismo tropical impacte a Cayo Largo del Sur, por cuyo relieve llano puede sufrir penetraciones del mar, así como el puerto de Batabanó, en la provincia de Mayabeque, y la ribereña comunidad de Cocodrilo, cuyos moradores se protegerán en centros de evacuación municipales.
Mariolys Pérez, vicepresidenta de la Asamblea Municipal del Poder Popular, dijo que de esa comunidad costera ya están evacuadas 36 personas y creadas las condiciones para proteger en casa de familiares y vecinos a las 121 familias –identificadas por las zonas de Defensa– que viven en facilidades temporales (casetas de madera) en las comunidades rurales La Reforma y Julio Antonio Mella.
Las autoridades locales insistieron en que se mantengan a buen resguardo los recursos de la economía de ese polo turístico y proteger las vidas de los 110 trabajadores que cuidan el islote; están en sus refugios habituales las embarcaciones pequeñas, fueron evacuados los trabajadores de Flora y Fauna que se encontraban en los cayos del archipiélago de Los Canarreos y retornaron igualmente a casa los pescadores.
Jefes de los diferentes subgrupos informaron que existe cobertura suficiente en el territorio para mantener la vitalidad de la economía; están creadas las condiciones si fuera necesario activar los grupos quirúrgicos, en tanto, las unidades de comercio minorista abrieron el domingo de 1.00 p. m. a 7.00 p. m. y hoy de 7.00 a. m. a 2.00 p. m.
Wiber Benítez, viceintendente del Consejo de la Administración Municipal, precisó que se redoblan esfuerzos en la desconcentración de las mercancías en las radas de Batabanó y Nueva Gerona, para evitar pérdidas de recursos y mantener la vitalidad de la economía.
Zunilda García Garcés, primera secretaria del Comité Municipal del Partido Comunista de Cuba en Isla de la Juventud, insistió en la necesidad de preservar los recursos económicos y las vidas humanas ante la inminencia del huracán Ian, categoría I en la escala de Saffir-Simpson, y su área de influencia sobre el centro y occidente de Cuba.
García Garcés reiteró como prioridad preservar las vidas humanas y los recursos de la economía, así como la protección de las cubiertas ligeras con sacos de arena o piedras en los sectores residencial y estatal, para evitar daños por la fuerza de posibles vientos huracanados.
Indicó además que las instituciones sociales y entidades económicas cumplan con racionalidad las medidas concebidas en sus respectivos planes de reducción del riesgo de desastres, así como las acciones previstas para el control de las arbovirosis.
[/spoiler]
Proteger vidas y recursos ante huracán Ian
Mediante video conferencia el Consejo de Defensa Provincial (CDP), precisó indicaciones a los municipales para garantizar la protección de la población, los bienes de la familia y recursos económicos.
Es prioridad proceder con la evacuación de quienes residen en zonas propensas a inundaciones o viviendas en mal estado constructivo, al respecto Rubén Ramos Moreno, vicepresidente del CDP señaló que hay experiencias en enfrentar huracanes de gran intensidad, y hay que estar preparados para ello.
Casi 50 mil vueltabajeros requerirán ser trasladados a sitios seguros, entre estos los residentes en 20 comunidades costeras, sólo cerca de seis mil estarán en centros de evacuación y el resto en casas de familiares y amigos.
Instó a informar a la población para que tengan una percepción adecuada de riesgo y obren en consecuencia, evacuándose antes de que se deterioren las condiciones meteorológicas y que protejan sus bienes.
Asimismo, con vista ya a la recuperación, se indicó la creación de brigadas con fuerzas de las entidades forestales, para que apoyen en el restablecimiento de las averías del tendido eléctrico, que suele sufrir severos daños en estos casos.
Desde las siete de la noche del día de hoy queda suspendido el tránsito, tanto vehicular como peatonal en toda la provincia, y Yamilé Ramos Cordero, presidenta del CDP, insistió en trabajar con agilidad para preservar vidas humanas y minimizar los daños que pudiera ocasionar el huracán Ian. (Yolanda Molina Pérez)
[spoiler title=»Pinareños atentos a paso de huracán Ian» open=»no» style=»default» icon=»plus» anchor=»» class=»»]Con la protección como premisa, Pinar del Río amaneció este lunes atento al paso del huracán Ian, un organismo tropical que se prevé provoque afectaciones directas desde los municipios de Sandino hasta San Juan y Martínez, de ahí la agilización de las labores.
Los campesinos sanjuaneros cubren los canteros de semilleros de tabaco de cara a reducir los posibles daños, toda vez que en los cepellones La Nilda y El Tamarindo, destinados a producir posturas de tapado, se encuentran a buen resguardo las bandejas con mantas.
Apelando a la experiencia de eventos meteorológicos anteriores y la iniciativa local, no pocos habitantes del municipio capital esta mañana protegían las cubiertas ligeras de sus viviendas con elementos de construcción.
Es el caso de Rafael Corbillón Pérez, vecino del populoso reparto La Flora, quien en esta jornada recuerda las medidas tomadas frente a la amenaza de ciclones tropicales anteriores, como los huracanes Gustav e Ike, que hace 14 años castigaron a la más occidental de las provincias y dejaron a su paso no pocos perjuicios al fondo habitacional.
En reunión del Consejo de Defensa Provincial se orientó hoy acelerar la evacuación de unas 50 mil personas, de las cuales cerca de seis mil lo harán en centros estatales dirigidos a esos fines, y el resto en casas de familiares y amigos; asimismo, se indicó el resguardo de los habitantes de unas 20 comunidades costeras de Vueltabajo.
Desde el mediodía queda paralizado el transporte público y a partir de las siete de la noche prohibida la circulación de peatones y vehículos por la vía pública, medidas encaminadas a proteger a la población, principal premisa de la Defensa Civil cubana ante este tipo de eventos meteorológicos.
De igual manera, se crearon brigadas mixtas con la forestal y agricultura para apoyar el restablecimiento del servicio eléctrico, una vez se marche el organismo tropical y el territorio pase a la fase recuperativa.
Según especialistas del Centro Meteorológico Provincial, se estima que Ian -huracán categoría uno en la escala de Saffir-Simpson, de un máximo de cinco- ocasione vientos fuertes en todo Pinar del Río, fuertes marejadas en el litoral sur y olas con una altura de cuatro metros.
Se espera que antes de tocar tierra el huracán se intensifique y cambie de categoría hacia una superior, lo cual exige extremar los cuidados en los 11 municipios. (Con información de ACN)[/spoiler]
Villa Clara vigilante ante Ian
Se preservan los bienes y recursos estatales e individuales, se prepara el apoyo a las provincias afectadas
El Consejo de Defensa Provincial (CDP), de Villa Clara analizó la situación meteorológica y las posibles consecuencias que las lluvias del huracán Ian puedan ocasionar, teniendo en cuenta que deben ser intensas en el territorio.
Actualmente se mantiene vigilancia hidrológica a todos los embalses, en particular sobre la presa Alacranes. De manera especial se precisaron las medidas concebidas para el montañoso municipio de Manicaragua, la comunidad El Santo, de Encrucijada y otros lugares que tradicionalmente se inundan y son de difícil drenaje.
Asimismo se conoció que las brigadas de salvamento y rescate están preparadas para actuar de ser necesario.
En el poblado de Jibacoa se encuentra una brigada médica quirúrgica y similar equipo de especialistas se moverá hacia El Santo.
Las escuelas internas, incluida la Universidad Central Marta Abreu de Las Villas, no reanudaron sus actividades y se revisa la situación de las instalaciones turísticas, sobre todo las que están en zonas vulnerables.
Osnay Miguel Colina Rodríguez , presidente del CDP, indicó preservar los recursos del Estado y los bienes individuales, cosechar todas las producciones agrícolas posibles, proteger los almacenes, la canasta básica que se encuentra en las bodegas, revisar los grupos electrógenos de todas las entidades y elaborar ofertas de alimentación a la población.
El también primer secretario del Partido en esta provincia central insistió en mantener informada a la población, tener precisión de la situación del fondo habitacional que está deteriorado e intensificar las labores de recogida de desechos sólidos y saneamiento.
Alberto López Díaz, vicepresidente del CDP y gobernador de Villa Clara , especificó que deben prepararse las condiciones para apoyar a las provincias afectadas con las brigadas de trabajadores elėctricos, así como de la construcción y la agricultura, sobre todo para rehacer casas de tabaco. (Lourdes Rey Veitía)
[spoiler title=»Decretan alerta ciclónica en occidente de Cuba y fase informativa para el centro» open=»no» style=»default» icon=»plus» anchor=»» class=»»]De acuerdo con la información del Centro de Pronósticos del lnstituto de Meteorología, la tormenta tropical lan se convirtió en huracán, pudiéndose intensificar rápidamente en las próximas horas durante su movimiento al occidente del país.
Teniendo en cuenta que continúan deteriorándose las condiciones del tiempo para la región accidental con probabilidades de numerosas lluvias en la región central, se decidió establecer a partir de las 08:00 h la fase de alerta ciclónica para las provincias Pinar del Río, Artemisa, La Habana, Mayabeque, Matanzas, Cienfuegos, y el municipio especial lsla de la Juventud y la fase informativa para las provincias de Sancti Spíritus y Ciego de Ávila.
Mantener en esta última fase a la provincia de Villa Clara.
Los órganos de dirección de estos territorios deben apreciar la situación y cumplir las medidas que corresponden de acuerdo con sus planes.
Se orienta a la población mantenerse atenta a las informaciones del lnstituto de Meteorología y la Defensa Civil, y cumplir disciplinadamente con las indicaciones impartidas por las autoridades locales.
Estado Mayor Nacional de la Defensa Civil
[/spoiler] [spoiler title=»Insta Díaz-Canel a garantizar la protección ante huracán Ian» open=»no» style=»default» icon=»plus» anchor=»» class=»»]El Primer Secretario del Comité Central del Partido y Presidente de la República, Miguel Díaz-Canel, instó hoy a garantizar la protección de vidas humanas y recursos materiales ante el paso inminente del huracán Ian por la región occidental de Cuba.
A través de Twitter, el jefe de Estado señaló que la proximidad de este fenómeno meteorológico impondrá al país una desafiante semana.
Díaz-Canel también expresó su alegría por los resultados preliminares del referendo popular que tuvo lugar este domingo, que validan la entrada en vigor de un nuevo Código de las Familias.
Buenos días #Cuba. Con la alegría por los primeros resultados del referendo a favor del #CodigoSí, entramos a una desafiante semana con huracán #Ian muy próximo. Máxima protección de vidas humanas y recursos materiales. Que nada falle. Venceremoshttps://t.co/9BY9rhF3vx
— Miguel Díaz-Canel Bermúdez (@DiazCanelB) September 26, 2022
La Unión de Ferrocarriles de Cuba informa que a partir del mediodía de hoy se suspenden hasta nuevo aviso las salidas programadas en los trenes nacionales, debido al deterioro de las condiciones meteorológicas provocadas por la aproximación del huracán Ian.
De acuerdo con la comunicación de la entidad, también se cancelan los servicios de trenes locales en las provincias occidentales (de Pinar del Río hasta Matanzas).
Los viajeros que poseen su reservación, así como los organismos que tengan facturadas transportaciones correspondientes a los días afectados tendrán prioridad a partir del restablecimiento de los servicios, precisa el texto.
Agrega que aquellos pasajeros que deseen reintegrar el pasaje recibirán la totalidad de su costo.
El Instituto de Meteorología de Cuba (Insmet) comunicó hoy que la tormenta tropical Ian continuó esta madrugada el proceso de intensificación, llegando a convertirse en el cuarto huracán de la presente temporada ciclónica.
Según los pronósticos, desde el final de esta mañana se incrementarán los nublados en el occidente del país, con lluvias que pueden ser fuertes en algunas localidades, principalmente de la Isla de la Juventud. (ACN)
[/spoiler]