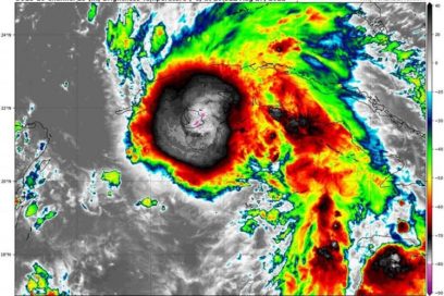
El huracán Ida durante la tarde continuó su movimiento al noroeste a unos 24 kilómetros por hora y tocó tierra por las inmediaciones de Punta del Este, Isla de la Juventud cerca de las dos de la tarde.

Ida tiene vientos máximos sostenidos de 120 kilómetros por hora, con rachas superiores, la presión central descendió hasta 987 hectoPascal. Los vientos con fuerza de huracán se extienden en un radio de 30 kilómetros del centro y los de tormenta tropical se extienden en un radio de hasta 150 kilómetros. A las tres de la tarde, su centro fue localizado por el radar de Punta del Este en los 21.7
grados de latitud Norte y los 82.6 grados de longitud Oeste, posición que la sitúa a unos 30 kilómetros al sur sudeste de Nueva Gerona y a 115 kilómetros al este sudeste de La Coloma, Pinar del Río.
Las áreas de lluvias han continuado afectando la región central, las que han llegado a ser fuertes en el sur de estos territorios. En la estación meteorológica Amistad Cuba Francia, en la cercanías de Nueva Gerona se reportó una racha máxima de 122 kilómetros por hora y vientos sostenidos de 108 kilómetros por hora, en La Fé se reportó un viento máximo sostenido de 104 kilómetros por hora y rachas máximas de hasta 120 kilómetros por hora, en Punta del Este se reportó calma a la 1 y 50 pm, todas estas localidades en la Isla de la Juventud.
Se pronostica que el huracán Ida continúe con similar rumbo y poco cambio en su velocidad de traslación, ganando algo más en intensidad, para emerger al golfo de Batabanó, por la costa norte de la Isla de la Juventud, alrededor de las cuatro de la tarde y llegar a un punto de la costa sur de Pinar del Río, entre la Coloma y la Ensenada de Dayaniguas en las primeras horas de la noche. Las áreas de lluvias continuarán afectando a la porción sur de la región central y seguirán extendiéndose al resto del occidente de Cuba en la tarde, las que serán fuertes e intensas en algunas localidades.
Continuarán los vientos con fuerza de huracán en la Isla de la Juventud y el archipiélago de los Canarreos, con velocidades de hasta 120 kilómetros por hora, con rachas superiores. A medida que el centro de Ida emerja por la costa norte de la Isla de la Juventud y se aproxime a la costa sur de Pinar del Río, los vientos con fuerza de tormenta tropical se extenderán sobre las provincias de Pinar del Río, Artemisa, Mayabeque y La Habana. Los vientos con fuerza de huracán con velocidades de 120 kilómetros por hora sostenidos y rachas superiores, se sentirán en la costa sur de Pinar del Río y el oeste de Artemisa desde el anochecer. Se mantendrán las fuertes marejadas en la costa sur de la Isla de la Juventud, en el archipiélago de los Canarreos y Pinar del Río, con peligro para la navegación y con posibilidad de inundaciones costeras moderadas en zonas bajas. En el litoral sur de las provincias desde Artemisa hasta Cienfuegos habrá marejadas, con inundaciones costeras moderadas en zonas bajas de estos territorios.
El próximo aviso de ciclón tropical sobre este sistema se emitirá a las seis de la tarde de hoy viernes.


